Dopo tre intensi mesi di lavoro, i volontari dello Spinning Club Italia, insieme a quelli della FIPSAS e dell’associazione Piacenza 83 Iridea, hanno concluso con successo le operazioni di recupero ittico sulle due dighe piacentine.
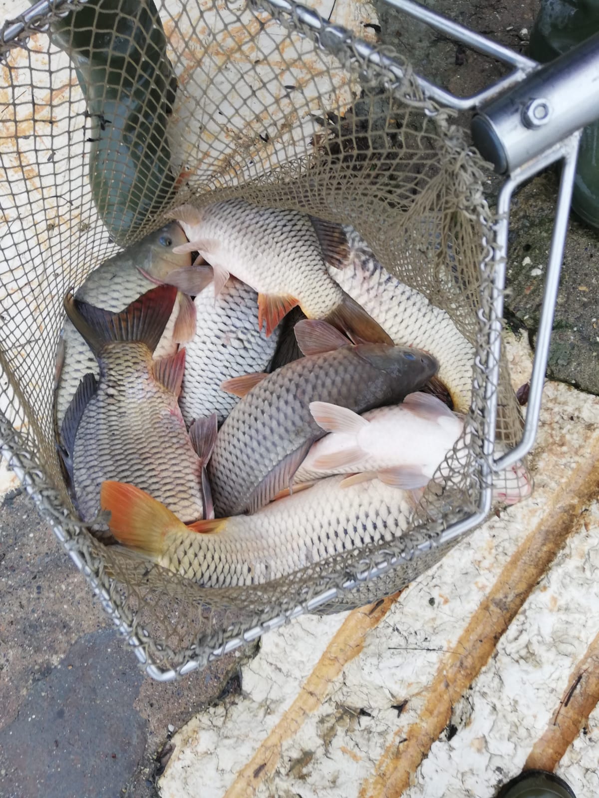
In particolare, presso la diga del Molato, grazie alla costante collaborazione con il Consorzio di Bonifica, si è ottenuto un risultato eccezionale: il recupero di circa 600 lucci adulti di ceppo italico e di uno stimato quantitativo di ciprinidi (carpe, cavedani, barbi) pari a oltre una tonnellata.
Le operazioni, svolte sotto la supervisione del responsabile dell’ufficio dello STACP, hanno avuto come priorità la tutela delle specie di maggior interesse ambientale e la salvaguardia della fauna ittica complessiva.
Una parte dei pesci recuperati, ora stabulata in un lago messo a disposizione dal Consorzio, sarà reintrodotta nel bacino d’origine per garantire la continuità del biociclo. Un’altra parte sarà destinata alla produzione di avanotti di qualità, mentre il restante pesce verrà utilizzato per il ripopolamento di diverse aree della provincia.
Un risultato che dimostra come la collaborazione tra associazioni, enti e volontari possa portare a interventi concreti di tutela ambientale e valorizzazione delle risorse naturali.




